Casa Semindipendente trilocale 120mq

Dati annuncio : Vendita Casa Semindipendente, Pontida
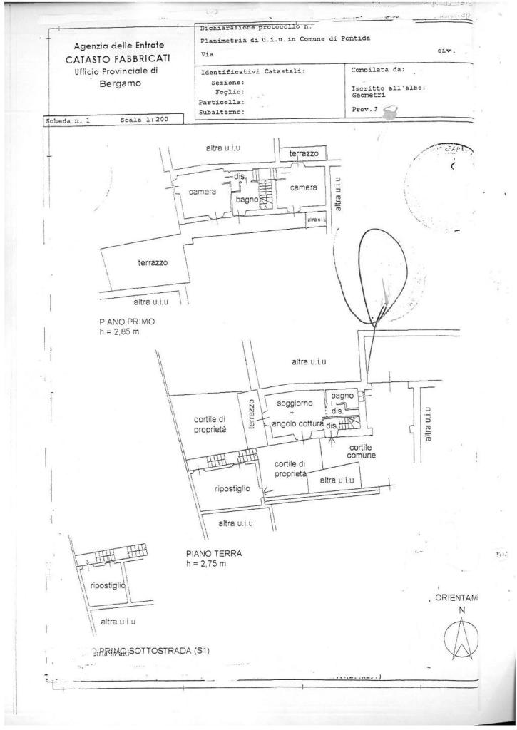
Pontida in posizione centrale del paese in prossimità di tutti i servizi raggiungibili a piedi si propone una porzione di casa da terra a tetto e di testa, avente ingresso pedonale indipendente e con giardino e cortile privati, composta da P.T.: soggiorno con angolo cottura dotato di canna fumaria per stufa a legna, bagno, uscita su porticato/balcone e sul giardino e cortile privati di Mq. 45 ca., scala interna di accesso al 1°Piano ed ultimo dove troviamo 2 camere da letto spaziose, un bagno, un balcone che da accesso ad un ampio terrazzo panoramico con vista sulle colline di Mq. 25 ca. un altro balcone, completano la proprietà 2 locali accessibili dal cortile privato che consistono in un locale al piano terreno di Mq. 17,6 ca. (che potrebbe essere una taverna) e un sottostante vano cantina di Mq. 11,50 ca nonché un´autorimessa di Mq.16,80 ca. L´immobile si presenta in ottimo stato essendo stato ristrutturato completamente sia internamente che esternamente, é molto luminoso e silenzioso, é termoautonomo con caldaia a metano e radiatori, ha predisposizione di aria condizionata. La porzione terminale di casa é inoltre ideale per una giovane coppia e per chi cerca la massima indipendenza in una casa contenuta sia negli spazi che nei costi di acquisto e di gestione nonché con pochissime spese condominiali, (spese condominiali annue circa 90 Euro) che consistono nel costo della corrente elettrica per il cancello carrale automatizzato e per illuminazione esterna. Le unità immobiliari sono libere e subito disponibili. Ottima soluzione mutabile fino al 100% con i migliori istituti di credito. Visionabile senza impegno previo appuntamento.
- PropostaOffro
- ContrattoVendita
- Prezzo10,00 €
- Vani3
- Mq totali120
- Camere2
- Bagni2
- Balconi1
- Classe energeticaG
- Classe energetica (ipe)66539
- Classe energetica (unità di misura)Kwh/m²a
- StatoRistrutturato
- CucinaCucina a vista
- TerrazzoSi
- GiardinoPrivato
- Tipologia immobileCasa semindipendente
- ProvinciaBergamo
- ComunePontida
- Data18-08-2025 05:21:08
- CodiceEA-E76CF0